Última hora del huracán ‘Melissa’, en directo | La agencia meteorológica de la ONU dice que ‘Melissa’ será la “tormenta del siglo para Jamaica”
La Cruz Roja estima que el huracán afectará a 1,5 millones de jamaicanos | Al menos tres muertos durante los preparativos antes de la tormenta

EL PAÍS ofrece de forma gratuita la última hora del huracán Melissa. Si quieres apoyar nuestro periodismo, suscríbete.
Momentos clave
La Organización Meteorológica Mundial (OMM), que depende de la ONU, ha afirmado este martes que “se espera una situación catastrófica en Jamaica” por el huracán Melissa. “Para la isla, será sin duda la tormenta del siglo”, ha anticipado la especialista en ciclones tropicales de la OMM, Anne-Claire Fontan, durante una rueda de prensa en Ginebra. Por su parte, la Cruz Roja estima que afectará directamente al menos a 1,5 millones de jamaicanos. La isla espera el huracán, de categoría 5, que se prevé que toque tierra este martes, aunque ya ha provocado cortes eléctricos, unos efectos que también se han sentido en República Dominicana y Haití y que tienen al sur de Cuba en alerta. Según la última alerta del Centro Nacional de Huracanes de EE UU (NHC), Melissa se encuentra sobre la isla jamaicana y se desplaza a unos cuatro kilómetros por hora hacia el noreste. Al menos tres personas han muerto por talas de árboles durante los preparativos para protegerse de la tormenta.


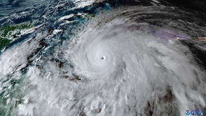
Un hombre en Kingston, Jamaica, mientras 'Melissa' avanza de fondo, este martes. / Matias Delacroix / AP
Claves | ¿Cómo se miden los huracanes?
El huracán Melissa, de categoría cinco (la más alta) en la escala de vientos Saffir-Simpson, avanza en estos momentos hacia Jamaica. Se espera que en las próximas horas toque tierra, la que ya es la mayor tormenta del mundo en lo que va del año, pero ¿cómo se categorizan los huracanes?
- ¿Qué es la escala de vientos Saffir-Simpson?
Esta escala divide a los huracanes según la velocidad de sus vientos, del 1 al 5. El sistema de medición sirve para determinar el posible nivel de impacto de un huracán.
Los daños medidos por esta escala aumentan por un factor de cuatro en cada incremento de categoría, y califica las velocidades máximas sostenidas del viento. Este sistema de medición no incluye peligros relacionados, como marejadas ciclónicas o inundaciones a raíz de la lluvia.
Todos los huracanes presentan una amenaza para la vida, pero aquellos de Categoría 3 o más son considerados como huracanes mayores.
- ¿Cuáles son las divisiones?
Categoría 1: 119–153 kilómetros por hora, vientos muy peligrosos que causarán algunos daños.
Categoría 2: 154–177 kilómetros por hora, vientos extremadamente peligrosos que causarán daños extensos.
Categoría 3: 178–208 kilómetros por hora, ocurrirán daños devastadores.
Categoría 4: 209–251 kilómetros por hora, ocurrirán daños catastróficos.
Categoría 5: 252 kilómetros por hora o más, es el tipo más mortífero.
- ¿Qué velocidad tiene ‘Melissa’?
Se han registrado ráfagas de hasta 300 kilómetros por hora, lo cual ubica al huracán en lo más alto de la escala Saffir-Simpson. Para referencia, el huracán Katrina, que devastó Nueva Orleans (EE UU) en 2005 y dejó casi 1.400 muertes, era un categoría 4. En 2017, el huracán Ophelia, un categoría 3 fue el más potente en acercarse a Europa, contribuyó a potenciar los incendios de Asturias y Galicia de aquel año.

Un nuevo huracán denominado Melissa alcanza el nivel 5 de intensidad, según la Oficina Nacional de Administración Oceánica y Atmosférica (NOAA). Es una tormenta “extremadamente peligrosa” que amenaza con “vientos catastróficos, inundación repentina y marejada ciclónica”, ha apuntado la agencia estadounidense. Esta es su posible trayectoria.

El Centro Nacional de Huracanes de EE UU considera “extremadamente peligroso” el huracán, que continúa acercándose a Jamaica
El Centro Nacional de Huracanes de Estados Unidos ha informado en su última actualización a las 8.00 hora del Este (las 13.00 en la España peninsular) de que el ojo del “extremadamente peligroso huracán” Melissa se aproxima a Jamaica donde se esperan “vientos catastróficos, inundaciones repentinas y marejada ciclónica”.
Según ese último informe, el ojo del huracán, que se espera que golpee en las próximas horas Jamaica, mantiene vientos sostenidos de más de 180 kilómetros por hora, que pueden ser especialmente destructivos en la zona montañosa de la isla. “Nos estamos quedando sin tiempo para que se debilite antes de que toque tierra”, le ha advertido Jack Beven, un especialista senior del NHC al diario The New York Times.

Análisis exprés | ¿Está relacionado el huracán ‘Melissa’ con el cambio climático?
Todavía es pronto para vincular el huracán Melissa con el calentamiento del planeta. Para ello habrá que esperar a un estudio de atribución, que analizará cómo ha variado la formación de un monstruo así comparando los registros del pasado con el mundo actual más caliente. En cualquier caso, hoy en día la ciencia tiene claro que el cambio climático también amplifica este tipo de tormentas, una grave amenaza de la que se lleva avisando desde los años ochenta. Existe consenso en que el calentamiento del planeta aumenta la intensidad de los huracanes y hay más dudas sobre si incrementa su frecuencia.

La Cruz Roja estima que ‘Melissa’ afectará a 1.5 millones de jamaicanos
Un portavoz de la Cruz Roja ha anunciado que estiman que el huracán Melissa afectará, directamente, al menos a 1.5 millones de jamaicanos. La organización meteorológica de la ONU ha declarado que se espera una “marejada ciclónica de hasta cuatro metros”.
“Hoy será un día muy difícil para decenas de miles, si no millones, de personas en Jamaica”, ha expresado Necephor Mghendi, de la Cruz Roja, por videoconferencia desde Puerto España. Ha continuado Mghendi: “Los techos serán puestos a prueba, las aguas subirán y el aislamiento se convertirá en una dura realidad para muchos.” Se han habilitado más de 800 refugios para los evacuados de las zonas más afectadas. “La principal prioridad fue sacar a la gente del peligro para reducir el número de víctimas”, ha concluido el portavoz.

La organización meteorológica de la ONU dice que ‘Melissa’ será la “tormenta del siglo para Jamaica”
La Organización Meteorológica Mundial (OMM), que depende de la ONU, ha declarado que “se espera una situación catastrófica en Jamaica”, según la especialista en ciclones tropicales de la OMM, Anne-Claire Fontan, durante una rueda de prensa en Ginebra. “Para Jamaica, será sin duda la tormenta del siglo”. El huracán Melissa tocará tierra con ráfagas de viento de más de 300 kilómetros por hora, inundaciones repentinas y deslizamientos de tierra, en la peor tormenta que ha azotado la isla en lo que va de siglo.

Las nubes ya cubren la isla de Jamaica entera y los vientos arrecian, pero la tormenta, oficialmente, no ha llegado. El huracán Melissa, de categoría 5 en la escala Saffir-Simpson, la máxima posible, se ha ido fortaleciendo a lo largo del fin de semana mientras se mueve lentamente hacia el noreste por encima de las aguas cálidas del Mar Caribe, y se espera que gracias a esas mismas aguas todavía gane más fuerza en las próximas 24 horas. Con vientos sostenidos de 280 kilómetros por hora, el ciclón es ya el más potente del mundo este año, está entre los 10 más fuertes de los que se tienen registro históricamente y está previsto que sea el mayor en la historia de Jamaica. Se espera que toque tierra en la madrugada o al amanecer de este martes, con el ojo proyectado a pasar a unos 100 kilómetros al oeste de la capital Kingston. El Centro Nacional de Huracanes de Estados Unidos (NHC, por sus siglas en inglés) ha advertido de que “el potencial de lluvia es extremo” y que “dada la lentitud de la tormenta, va a crear un evento catastrófico en Jamaica”.

Buenos días. Arrancamos la narración en directo de la última hora del huracán Melissa que se acerca a Jamaica. El fenómeno meteorológico, en el nivel cinco de la escala Saffir-Simpson, amenaza la isla con vientos destructivos, marejada ciclónica e inundaciones catastróficas.
Tu suscripción se está usando en otro dispositivo
¿Quieres añadir otro usuario a tu suscripción?
Si continúas leyendo en este dispositivo, no se podrá leer en el otro.
FlechaTu suscripción se está usando en otro dispositivo y solo puedes acceder a EL PAÍS desde un dispositivo a la vez.
Si quieres compartir tu cuenta, cambia tu suscripción a la modalidad Premium, así podrás añadir otro usuario. Cada uno accederá con su propia cuenta de email, lo que os permitirá personalizar vuestra experiencia en EL PAÍS.
¿Tienes una suscripción de empresa? Accede aquí para contratar más cuentas.
En el caso de no saber quién está usando tu cuenta, te recomendamos cambiar tu contraseña aquí.
Si decides continuar compartiendo tu cuenta, este mensaje se mostrará en tu dispositivo y en el de la otra persona que está usando tu cuenta de forma indefinida, afectando a tu experiencia de lectura. Puedes consultar aquí los términos y condiciones de la suscripción digital.































































